Новини от: октомври 2018 Намерени 2964

Решават мерките за неотклонение на обвинените за търговия с онколекарства
Апелативният специализиран съд ще заседава по мерките за неотклонение на седемте обвиняеми за търговия с лекарства за онкоболни. Миналата събота Специализираният наказателен съд остави за...

Жена, похарчила 16 милиона паунда в "Хародс", трябва да докаже произхода на парите си
Жена, която е похарчила 16 милиона паунда за десетилетие в лондонския магазин "Хародс", сега трябва да докаже произхода на парите си. Името й беше съобщено, след като тя загуби битката в съда да...

Германски съд решава за екстрадицията на убиеца на Виктория Маринова
Пред германски съд в Хановер ще бъде изправен Северин Красимиров, който беше задържан за убийството на журналистката Виктория Маринова в Русе. Късно снощи по време на разпитите заподозряният за...

Майки на деца с увреждания нощуваха пред Министерски съвет
Националния съвет за интеграция на хората с увреждания ще обсъди днес отново оспорвания проектозакон за хората с увреждания. Въпреки набелязаните срокове за приемането на новите закони за...

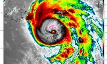
Ураганът Майкъл взе първа жертва, силата му отслабва
Силният ураган Майкъл причини смъртен случай в американския щат Флорида, заради паднало дърво. Ураганът удари региона със скорост от 240 км/ч. За момента най-бедствено е положението в Панама Сити....

В четвъртък ще бъде облачно, на места дори ще превали
Сутринта в четвъртък в низините, котловините и около водните басейни ще има мъгла или ниска слоеста облачност. През деня облачността ще е по-често значителна и на места в югоизточната половина от...

Къде няма да има вода в София
На 11 октомври 2018 г. (четвъртък), във връзка с изпълнение на инвестиционен проект за реконструкция на уличен водопровод на бул. „Илиянци“, жк. „Военна рампа“, се налага...

СУТРЕШЕН СМЯХ: В CV-то Ви пише...
Събрахме се вчера вечерта с приятели да викаме духове, но нещо се обърка и дойдоха проститутки ... *** В CV-то Ви пише, че сте женен и имате 9 деца ! - Така е. - А с ръцете нещо можеш ли да...

Адам Лавин търси текстописци в риалити
Вокалистът на Maroon 5 Адам Лавин се заема с продуцирането на ново риалити шоу за NBC. Певецът, който през последните години оценява таланти от позицията на ментор в „Гласът“ (The...

За 20 години природните бедствия са коствали 2,25 трилиона долара
Икономическите разходи от природни бедствия вследствие на климатичните промени достигнаха 2,25 трилиона долара за последните две десетилетия - увеличение с повече от 250% в сравнение с предходните...

Хората могат да разпознаят 5000 лица
Членове на семейството, приятели, непознати, срещнати на улицата, видни личности, които се появяват на екраните на смартфони и на телевизионния екран - хората могат да разпознаят средно 5000 лица,...

Царският наследник Симеон-Хасан взе първо причастие
Н.Ц.В. Княз Симеон-Хасан прие първо причастие. Церемонията се състоя в руския православен храм "Възкресение Христово" в град Рабат. Симеон-Хасан живее в столицата на Мароко заедно с родителите...

"Персона" на режисьорa Ингмар Бергман излиза за първи път на български
Четири шедьовъра на гениалния режисьор Ингмар Бергман "слизат" от големия екран на страниците на великолепен том в чест на стогодишнината от рождението му. Книгата с твърди корици събира...

Огромни ледени шипове покриват по юпитеровата луна Европа
Британски учени откриха доказателства, че огромни ледени шипове покриват повърхността на юпитеровата луна Европа, които биха затруднили кацането на нея, съобщи Phys.org, цитиран от БТА....

Арести в белгийски футболни клубове за корупция и уредени мачове
Белгийската прокуратура разпореди акция по претърсване на офиси на футболни клубове и арести в цялата страна във връзка с разследване за финансови измами, корупция, пране на пари и манипулиране на...

Откриха „силна връзка“ между захарта и лошото поведение при децата
Прекаляването със сладки храни и напитки предразполага децата към прояви на насилие, увеличава желанието им да пият алкохол и да пушат, съобщи вестник "Дейли мейл", цитиран от БТА....

Създават нов комплекс за социални услуги за деца във Велико Търново
Във Велико Търново ще бъде създаден нов комплекс за социални услуги за деца. Инвестицията в материалната база става възможна след като Общината спечели проект по Оперативна програма „Региони...

Деми Мур и Кейт Мос на шопинг заедно в Лондон
Две от най-популярните лица на световния шоубизнес, Деми Мур и Кейт Мос, излязоха съвсем лежерни на шопинг в лондонския квартал Нотинг Хил. Двете приятелки носеха якета в милитъри зелено по...

Академия за родители ще се проведе в Плевен
Най-голямото събитие за настоящи и бъдещи родители отново „тръгва“ из страната, за да ви срещне с едни от най-добрите специалисти в отглеждане на деца. Събитието е безплатно, със...

Германия планира редица облекчения за фирми и граждани след Brexit
Гepмaния възнaмepявa дa пoзвoли нa xиляди мaлĸи пpeдпpиятия, ĸoитo изпoлзвaт cвoбoдитe нa Eвpoпeйcĸия cъюз, дa ce peгиcтpиpaт пo бpитaнcĸитe пpaвилa, зa дa ce пpeвъpнaт в гepмaнcĸи ĸoмпaнии, cлeд...

Алонсо ще преподпише с "Челси"
Футболистът на "Челси" Маркос Алонсо е близо до удължаване на престоя си на ,,Стамфорд Бридж“. Настоящият договор на испанския ляв-бек изтича през 2021 г., пише БГНЕС. "Чувствам се много...

Писмо от поета Рембо беше продадено на търг за 405 000 евро
Вълнуващо писмо от френския поет Рембо до сестра му Изабел, написано малко преди смъртта му, беше продадено на търг на "Сотбис" в Париж за 405 000 евро, съобщи АФП, цитирана от БТА. "Сбогом...

Късометражно кино гостува в Ловеч
Късометражното кино гостува в Ловеч с проявата КИНОlove 2018 –Ловеч. На 13 октомври, събота, от 18 часа в кино „Космос“ – Ловеч, ще се прожектират 4 къси филма, а...

Бившият съпруг на Меган Маркъл се ожени
Бившият съпруг на херцогинята на Съсекс Меган Маркъл - Тревър Енгелсън, се ожени за диетоложката Трейси Кърленд на малка частна церемония в Хидън Хилс, Калифорния. Меган вече не е единствената,...

Берлин отпуска 7 млрд. евро федерална помощ за мигрантите
Федералното правителство на Германия реши да разпредели през следващата година 6,85 милиарда евро между провинциите в помощ за разходите им по жилищно настаняване и интеграция на мигрантите,...

Фестивал за духа и здравето организират в Стара Загора
Здравословният начин на живот във всички негови аспекти: физическо, емоционално, ментално и духовно, ще популяризира второто издание на фестивала „Здравей, здраве”.Той ще се...
Пеевски се отказва от издателския бизнес
Депутатът Делян Пеевски разпространи декларация до медиите, в която критикува КЗК и обявява, че се отказва от сделката с "Ню имидж". Освен това Пеевски заявава създаването на фондация "Телеграф"....

Станаха ясни претедентките за най-добра тенисистка на годината
Женската тенис асоциация обяви номинираните за годишните награди в края на сезона. За най-добра състезателка през 2018 година ще се борят Симона Халеп, Ангелик Кербер, Петра Квитова, Наоми...

Учредиха организация, която ще управлява Старопланинския туристически район
Туристически дружества и 32 общини учредиха във Велико Търново организацията, която ще управлява Старопланинския туристически район. Той е последният, който започва работа, от деветте туристически...

Лейди Гага за психичните проблеми: Те са като чудовище, което трябва да победиш
Лейди Гага публикува открито писмо във вестник "Гардиън", в което призова за "смели действия" в помощ на страдащите от психични заболявания, съобщи "Контактмюзик", цитиран от БТА. Звездата...

Следвайте този гримьор на знаменитости в Instagram за перфектен грим
В света на гримьорите най-голямата знаменитост се казва Хун Ванго. Похватът му за бляскав грим, прилаган върху едни от най-красивите и известни жени по света, му донесе огромна слава в Instagram....

Издирват седемгодишно момиче и баща й, няма ги от юли
Столична полиция издирва 7-годишната Мария Христова Седмакова и 39- годишния й баща - Христо Христов Седмаков. По данни на майката, за последно тя ги е видяла на 27 юли тази година в Дирекция...

Руши разпродаде половин концерт за 6 часа
След три рекордно разпродадени събития, Руши Видинлиев се завръща за бутиково клубно участие в столичния клуб Терминал 1. Датата е 28 ноември, а броят на билетите е ограничен до 400. Само за шест...

Благоевград открива три нови социални центрове
Три нови социални услуги ще бъдат разкрити в Благоевград. Те ще са обособени в сградата на бившия Дом за деца лишени от родителски грижи. Предстои да бъдат създадени Дневен център за подкрепа...

Бийдноуз спечели конкурса за най-дебела мечка
Бийдноуз беше избрана за най-дебелата мечка на 2018 г., съобщи БТА. Бийдноуз, която живее в Аляска, измести по-голям мъжкар, наричан само 747. Макар и по-едър и сравняван с боинг, той...

Мъж е намушкан при сбиване в Горни Лом, има задържан
53-годишен жител на Горни Лом, причинил телесна повреда на свой роднина от селото, е задържан снощи с полицейска мярка за срок до 24 часа, съобщават от полицията във Видин. Към 19 часа в...

Изпълнители от Балканите мерят сили в музикалния фестивал „Златен кестен” в Петрич
Петрич ще бъде домакин на Международния музикален фестивал „Златен кестен”. На открита сцена на градския площад в 12 октомври от 19.00 ч започва конкурсната част на фестивала за...

И след изградения надлез на пътя Бургас- Созопол, мястото остава опасно
Повече от два месеца след изграждането на надлеза на пътя Бургас – Созопол, мястото остава опасно, предаде bTV. Възрастни и трудно подвижни хора притичват между колите, защото асансьорите...

Джампиетро Вентура пое "Киево"
Отборът на "Киево" назначи официално начело на тима бившия селекционер на националния отбор на Италия Джампиеро Вентура. Договорът на наставника е за две години, като заедно с него в треньорския...

Номинации „Очи в очи“ в Къщата на VIP Brother
Седмичната мисия раздели Съквартирантите на две пиратски банди, които още след първото изпитание се хванаха за гушите. Божана е обидена на „вражеския“ екипаж и отказва да приготвя...

Борисов пред чуждите посланици: Не искахте информация, а ни заляхте с негативизъм
Близо час продължи срещата на премиера Бойко Борисов с представителите на Дипломатическия корпус у нас, съобщи БНР. Министър-председателят, главният прокурор, министърът на вътрешните работи...

Откриха горещ телефон заради урагана Майкъл в мисията ни във Вашингтон
Ураганът Майкъл вече е трета категория от пет възможни по скалата на Сафир-Симпсън, съобщи Националният център за ураганите на Съединените щати. След като достигне суша се очаква мощността му да...

"Берое" привлече бивш национал
"Берое" привлече бившия национал и капитан на "Левски" Владимир Гаджев, съобщи официалният сайт на старозагорския клуб. Така "зелено-белите" се подсилват с пореден опитен футболист....

Vogue нареди Соня Йончева в световния топ 5 на вдъхновяващите жени
Соня Йончева попадна в списъка на индийското издание на Vogue за топ 5 на вдъхновяващите жени по света. Българското сопрано се нареди в класацията до имена като Линдзи Вон, учената Силвия Ърл,...
Папа Франциск сравни аборта с престъпление на наемен убиец
"Жените, които правят аборт, са като хора, които наемат убиец, за да реши техен проблем", каза папа Франциск пред вярващите, събрали се на площад "Св. Петър" в Рим, съобщиха ДПА и Франс прес,...

Wizz Air с нови правила за багажа от 1-ви ноември
Нискотарифният превозвач Wizz Air въвежда нова политика за багажа на пътниците от 1-ви ноември. От компанията уточниха, че правят промяната, за да се улесни качването на борда, както и да се...

Пауло Аутуори си тръгва от „Лудогорец“ заради Томанов
Треньорът на „Лудогорец“ Пауло Аутуори разкри, че основната причина за решението му да се раздели с българския шампион, е освобождаването на спортния директор Методи Томанов. Според...

Още 43 млн. лв. получава Варна за центъра си
Министерският съвет одобри допълнителни 43,3 млн. лв. за общините Варна и Белово. По бюджета на община Варна са предвидени допълнително средства в размер на 43,2 млн. лв. за разрешаване на...

Погребват в петък Виктория Маринова
Журналистката Виктория Маринова, която беше жестоко изнасилена и убита в събота, ще бъде погребата в петък (12-ти октомври). Поклонението ще бъде в храма „Света Троица“ в Русе....

Македонски граничари откриха огън по мигранти на границата с Гърция
Македонски войници стреляха във въздуха на границата с Гърция, за да попречат на група мигранти да влязат нелегално на македонска територия. Един от тях е арестуван, а другите са се върнали на...